

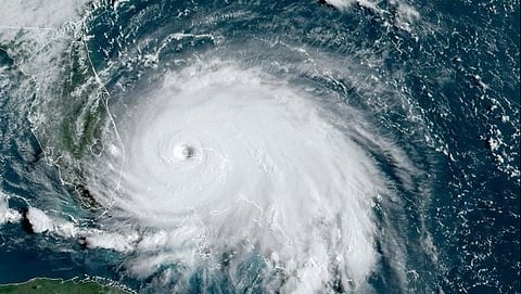
மத்திய வங்கக் கடல் பகுதியில் மே 24ஆம் தேதி உருவாகும் யாஸ் புயலால் தமிழகத்தில் வெப்பநிலை மேலும் அதிகரிக்கும் என்று சென்னை வானிலை ஆய்வு மையம் தெரிவித்துள்ளது.
தெற்கு அந்தமான் மற்றும் அதனை ஒட்டிய தென்கிழக்கு வங்கக் கடல் பகுதியில் தென்மேற்குப் பருவமழை தொடங்கியுள்ளது. இந்நிலையில் மத்திய கிழக்கு வங்கக் கடல் மற்றும் அதனை ஒட்டிய பகுதிகளில் நாளை (மே 22) புதிய காற்றழுத்தத் தாழ்வுப் பகுதி உருவாக வாய்ப்பு உள்ளதாக சென்னை வானிலை ஆய்வு மையம் தெரிவித்துள்ளது.
இது 24ஆம் தேதி புயலாக வலுவடைந்து, வடமேற்கு திசையில் நகரக் கூடும் என்றும், அது மேலும் வலுப்பெற்று ஒடிசா, மேற்கு வங்கக் கரையை 26ஆம் தேதி கடக்கக்கூடும் எனவும் வானிலை ஆய்வு மையம் தெரிவித்துள்ளது.
எனினும் இந்தப் புயல் தீவிரப் புயலாக வலுப்பெறும் வாய்ப்பு குறைவே. இந்தப் புயலுக்கு யாஸ் என ஓமன் பெயர் சூட்டியுள்ளது. புயலால் தமிழகத்திற்கு மழை வாய்ப்பு இல்லை. எனினும் தரைக் காற்று வீச வாய்ப்பிருப்பதால் வெப்பநிலை உயரும் எனத் தெரிவிக்கப்பட்டுள்ளது.
மே 23 முதல் 25ஆம் தேதி வரை மத்திய வங்கக் கடல் பகுதியில் யாஸ் புயல் உருவாவதன் காரணமாக, தமிழகப் பகுதிகளில் தரைக்காற்று மேற்கு வடமேற்கு திசையில் இருந்து வீச வாய்ப்பிருப்பதால் தமிழகத்தில் பெரும்பான்மையான மாவட்டங்களில் வறண்ட வானிலை நிலவும். வட தமிழகத்தின் கடலோர மாவட்டங்களில் வெப்பநிலை 2 முதல் 4 டிகிரி செல்சியஸ் வரை உயரக் கூடும் என்று சென்னை வானிலை ஆய்வு மையம் தெரிவித்துள்ளது.