

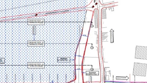
மதுரை மாநகராட்சி குருவிக்காரன் சாலை தரைப்பாலத்தினை ரூ.23 கோடியில் உயர்மட்டப் பாலமாக மாற்றி அமைக்கும் திட்டம், தொடங்கப்பட்டுள்ளது.
மதுரை நகரில் 19 லட்சம் மக்கள் வசிக்கின்றனர். வாகனப்பெருக்கத்தால் நகரில் போக்குவரத்து நெரிசல் அதிகமாகிவிட்டது. அதனால், நகரில் மையப் பகுதிக்குள் வெளியூர் செல்லும் பேருந்துகள் அதிகளவில் வந்து செல்வதால் ஏற்படும் நெரிசலை தவிர்க்கும் வகையில் நகர் பகுதியில் உயர்மட்ட மேம்பாலம் அமைக்கப்படுகிறது. அந்த வகையில், தற்போது
நகர் மற்றும் ஊரகத் திட்டத் துறையின் அபிவிருத்தி மற்றும் உட்கட்டமைப்பு நிதியின் கீழ் மதுரை மாநகராட்சி குருவிக்காரன் சாலை சந்திப்பு பகுதியில் ஆற்றின் குறுக்கே செல்லும் தரைப்பாலத்தினை உயர்மட்டப் பாலமாக மாற்றப்படுகிறது.
நகராட்சி நிர்வாகம் மற்றும் குடிநீர் வழங்கல் துறை உத்தரவின் பேரில் ரூ.23.17 கோடி மதிப்பீட்டில் இந்த உயர்மட்ட மேம்பாலம் அமைக்கப்பட உள்ளது.
இந்த திட்டத்திற்கான வேலை உத்திரவு வழங்கப்பட்டு தற்போது பணிகள் துவங்கப்பட்டுள்ளது.
உயர்மட்ட பாலத்தின் நீளம் 200 மீட்டர், பாலத்தின் அகலம் 13.50 மீட்டர், நடைமேடை இருபுறமும் தலா 1.50 மீட்டர் அகலம் என பாலத்தின் மொத்த அகலம் 17.50 மீட்டர் ஆகும். இந்த திட்டப்பணிகள் நடப்பதால் தற்போது பொதுமக்கள் மற்றும் போக்குவரத்தின் பயன்பாட்டிற்காக பாலத்தின் மேற்கு பக்கம் தற்காலிகமாக அணுகு சாலை அமைக்கப்பட்டுள்ளது. இச்சாலை சிறியரக வாகனங்கள் செல்வதற்கு ஏதுவாக போடப்பட்டு பயன்பாட்டில் உள்ளது.
மேலும், வரும் 13ம் தேதி முதல் உயர்மட்ட மேம்பாலம் பணிக்காக பாலத்தின் பயன்பாடு நிறுத்தப்பட உள்ளது. கட்டுமானப் பணிகள் முழுமையாக முடிவடைந்தவுடன் உயர்மட்டப் பாலம் பயன்பாட்டிற்கு கொண்டு வரப்படும் என மாநகராட்சி ஆணையாளர் ச.விசாகன் தெரிவித்தார்.