

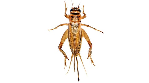
சுவர்க்கோழி
மழைக் கால இரவு நேரத்தில் சுவர்க்கோழியின் (கிரிக்கெட் பூச்சி) ‘கிரீச்’ ‘கிரீச்’ ஒலியைக் கேட்காதவர்கள் இருக்க முடியாது. சில நேரம் இடைவிடாமலும், சில நேரம் விட்டுவிட்டும் இந்தச் சத்தம் கேட்கும். ஆச்சரியப்படும் விதமாக இந்த ‘கிரீச்’ சத்தத்துக்குப் பின்னால் அறிவியல் உண்மை இருக்கிறது. சுவர்க்கோழியின் இந்தக் ‘கிரீச்’ சத்தம் சுற்றுப்புற வெப்பநிலையை அளக்கும் வெப்பமானியாகப் பயன்படுகிறது.
சுவர்க்கோழியின் இந்தக் கிரீச் சத்தம் அதன் இரண்டு இறக்கைகளை உரசுவதால் உண்டாகிறது. ஓர் இறக்கையில் சீப்பின் பல் (scrapper) போன்ற அமைப்பும் இன்னோர் இறக்கையில் ‘தேய்க்கும் அரம்’ (file) போன்ற அமைப்பும் உள்ளன. இவை இரண்டும் ஒன்றோடு மற்றொன்று உராய்வதால் இந்தக் கிரீச் சத்தம் உருவாகிறது.
பூச்சிகள் சும்மா சத்தம் போட்டுக்கொண்டு இருக்கின்றன என்று பெரும்பாலானோர் நினைத்தபோது, அய்மாஸ் டால்பியர் (Amos Dolbear) என்கிற இயற்பியல் அறிஞர் சுவர்க்கோழியின் ‘கிரீச்’ சத்தத்திற்கும் அது வாழும் பகுதியின் சுற்றுப்புற வெப்பநிலைக்கும் தொடர்பு இருக்கிறது என்று கண்டறிந்தார். 1897இல் ‘The Cricket as a thermometer’ என்கிற ஆய்வுக் கட்டுரையை வெளியிட்டார்.
வெப்பமானியின் தத்துவம்: ஒரு பொருளின் வெப்பநிலையை எவ்வாறு அளக்கிறோம்? வெப்ப நிலையைப் பொறுத்துச் சில குறிப்பிட்ட பொருள்களின் பண்புகள் மாறுகின்றன. எடுத்துக்காட்டாக, பாதரசத்தைச் சூடுபடுத்தும்போது அது விரிவடைகிறது. வெப்பநிலையை அதிகரிக்க அதிகரிக்க அதற்கேற்றாற் போல் அதன் விரிவடையும் அளவு அதிகமாகிறது.
பாதரசத்தின் இந்த விரிவடையும் பண்பைப் பயன்படுத்திப் பாதரச வெப்பமானி உருவாக்கப்படுகிறது. பாதரசத்தை ஒரு நீண்ட கண்ணாடிக்குழாயில் அடைத்து எந்தப் பொருளின் வெப்பநிலையை அளக்க வேண்டுமோ அப்பொருளின் மீது குறிப்பிட்ட நேரத்துக்கு வைக்கும்போது, அப்பொருளின் வெப்பநிலைக்கு ஏற்பக் கண்ணாடிக்குழாய்க்குள் இருக்கும் பாதரசம் விரிவடைந்து (நீளம் அதிகரித்து) வெப்பநிலையைக் காட்டுகிறது.