

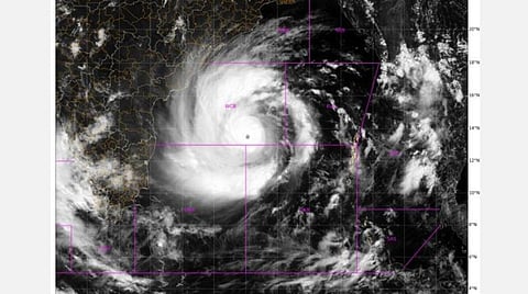
வங்கக்கடலில் உருவாகியுள்ள உம்பன் புயல் அதிதீவிரமடைந்து, சூப்பர் புயலாக இன்று மாறி ஒடிசா கடற்பகுதியில் பலத்த கற்றையும், கடும் மழையையும் கொடுத்து, மணிக்கு 185 கிமீ வேகக் காற்றுடன் மேற்கு வங்கம், வங்கதேச கடற்கரைப் பகுதியில் 20-ம்தேதி கரை கடக்கும் என இந்திய வானிலை ஆய்வு மையம் தெரிவித்துள்ளது
இதனால் கடற்கரை ஓரம் வசிக்கும் 11 லட்சம் மக்களை பாதுகாப்பாக வெளியேற்றும் பணியில் ஒடிசா அரசு ஈடுபட்டுள்ளது.
இதுகுறித்து இந்திய வானிலை மையம் சார்பில் வெளியிடப்பட்ட அறிவிப்பில் தெரிவிக்கப்பட்டுள்ளதாவது:
வங்ககடலின் தென்கிழக்குப் பகுதியிலிருந்த, குறைந்த காற்றழுத்தத் தாழ்வுமண்டலம் மேலும் வலுவடைந்து, உம்பன் புயலாக மாறி, வங்கக்கடலின் தென்கிழக்காக நகர்ந்து, வடக்கு, மேற்காக 13 கி.மீ வேகத்தில் நகர்ந்து வருகிறது. இது அடுத்த 12 மணிநேரத்தில் மேலும் வலுவடைந்து சூப்பர் புயலாக மாறக்கூடும்.
இதன் பலத்த சூறைக்காற்றுடன் மழை பெய்யும், வீடுகள், மின்கம்பங்கள், மரங்கள், மின்கோபுரங்கள், தொலைத்தொடர்பு கோபுரங்கள் போன்றவற்றுக்கு பெருத்த சேதம் ஏற்படுத்தலாம். வேளாண் பயிர்கள், தோட்டங்கள் போன்வற்றுக்கும் மிகப்பெரிய அளவு பாதிப்பை உம்பன் புயல்ஏற்படுத்தும்.
தற்போது ஒடிசாவின் பாரதீப் துறைமுகத்திலருந்து தெற்காக 790 கி.மீ தொலைவிலும், மேற்கு வங்கத்தின் திஹா நகரிலிருந்து தெற்கு, தென்மேற்காக 940 கி.மீ தொலைவிலும், வங்கதேசத்தின் கேபுபாராவிலிருந்து 1,060 கி.மீ தொலைவிலும் இருக்கிறது.
உம்பன் புயல் வடக்கு வடகிழக்காக மேலும் நகர்ந்து வங்கக்கடலின் வடமேற்கு திசையில் சென்று மேற்கு வங்கம், வங்கதேச கடற்கரையில் அதாவது மேற்கு வங்கத்தின் திஹா, வங்கதேசத்தின் ஹதியா தீவுகளுக்கு இடையே வரும் 20ம் தேதிபிற்பகல் அல்லது மாலையில் கரை கடக்கும். அப்போது மணிக்கு சராசரியாக 155 கிமீ முதல் 165 கிமீ வேகத்தில் காற்று வீசக்கூடும், அதிகபட்சமாக 185 கி.மீ வேகத்தில் காற்று வீசுக்கூடும்
இந்த உம்பன் புயலால் ஒடிசா மாநிலத்தின் வடபகுதிகள் அதிகமாக பாதிக்கப்பட வாய்ப்புள்ளது. குறிப்பாக ஜெகத்சிங்பூர், கேந்த்ரபாரா, பத்ராக், பாலசூர் ஆகியவற்றில் கடும் மழையும், காற்றும் 19-ம் தேதிமுதல் 20-ம் தேதிவரை இருக்கும்.
18-ம் தேதி முதல் ஒடிசாவின் பல்வேறு நகரங்களில் குறிப்பாக கடற்கரை நகரங்களான கஜபதி, கஞ்சம், பூரி, ஜகத்சிங்பூர், கேந்தர்பாராில் மிதமானது முதல் கனமழை பெய்யக்கூடும்.
இவ்வாறு அதில் தெரிவிக்கப்பட்டுள்ளது
இதையடுத்து, ஒடிசா மாநில பேரிடர் மீட்பு ஆணையர் பி.கே.ஜெனா பிறப்பித்த உத்தரவில், “ கஞ்சம், கஜபதி, பூரி, ஜகத்சிங்பூர், கேந்தர்பாரா, பத்ராக், பாலசூர், மையூர்பானி, ஜாஜ்பூர், கட்டாக், குர்தா, நயாகார்க் ஆகிய மாவட்டஆட்சியர்கள் விழிப்புடன் இருக்கவேண்டும், மாவட்ட தீயணைப்பு படையினர், பேரிடர் மீட்புப்படையினர் தயாராக இருக்கவேண்டும்” எனத் தெரிவித்துள்ளார்